
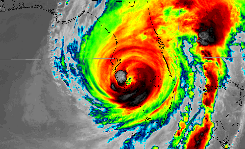
O furacão Ian tocou o solo do extremo sudeste dos Estados Unidos nesta quarta-feira, 28, e atingiu o estado da Flórida, na cidade de Fort Myers, após ganhar força e elevar-se à categoria 4 – numa escala de força que vai de um a seis. As informações foram divulgadas pelo Centro Nacional de Furacões (NHC, na sigla em inglês) do governo norte-americano. Com ventos de 240 km/h, trata-se de um dos furacões mais fortes a atingir o país comandado por Joe Biden em décadas. Moradores na costa do Golfo do México tiveram que abandonar suas casas e seguiram para áreas mais altas na região e oito locais próximos dos pontos vulneráveis receberam ordens de saída: Charlotte, Hillsborough, Lee, Levy, Manatee, Pasco, Pinellas e Sarasota. A Baía de Tamba, atingida pelo furacão Ian, não recebia um fenômeno da natureza desta magnitude há mais de 100 anos.




Jovem Pan